WillyTetti

 

 

Home
Up

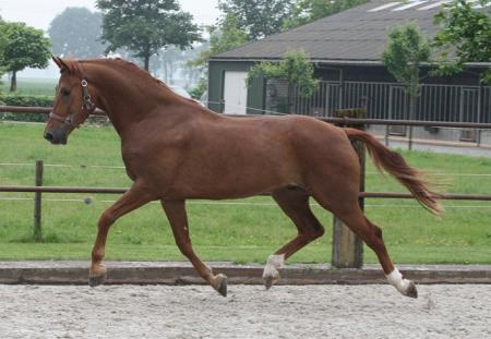
Willy Tetti, chestnut KWPN gelding by Rousseau x Jetset x Legaat, born May 2003, standing approximately 16.1 – 16.2 hands.

Dare to break your own champion?

 

phpThumb.jpg (27254 bytes)

Willy Tetti is NOT BROKE and NOT UNDER SADDLE yet. If you don’t have the capability to do it yourself or to send him to a responsible trainer, please don’t read any further. But if you have the possibility to break a 4 year old, here is your huge chance to buy a top youngster at an absolute bargain price. This boy is a really nice, elegant stallion type with a lofty movement and stellar looks. He knows how to use his hind legs and he has a free shoulder and airtime. His big gaits will impress everybody and his sweet eye will let your heart melt.

He is sweet in the barn, easy to catch, a gentleman to handle and stands quiet for the farrier. Willy Tetti is an outstanding opportunity to safe money and end up with a really nice, above average quality horse. Just dare to get him going under saddle, the rewards could be your break through to the upper levels.

check out his video clip!!! 

Please contact Irene: Irene@HWfarm.com

239-772-7722 (ask for Irene, managing member of Horse Sales LLC)

 

phpThumb2.jpg (19274 bytes)

phpThumb3.jpg (46761 bytes)

 phpThumb4.jpg (19724 bytes)

choose the size according to your connection speed

Video Clip

16.4 MB 14.8 MB 814 KB

 

Home Up WalkOfFame Lightning Jack HW Sweet Dream World Star Fuerstentanz Rubina Lauralyn WillyTetti Chameur Romancero HW